VARA
Kezdőlap
Ingatlanok
Hírek
Értékbecslés
Karrier
Kapcsolat
Főoldal
Válassz kategóriát
Ház
Intézmény
Ipari
Iroda
Irodaépület
Lakás
Mezőgazdasági
Parkoló
Telek
Tároló
Vendéglátás
Általános
Üzlethelyiség
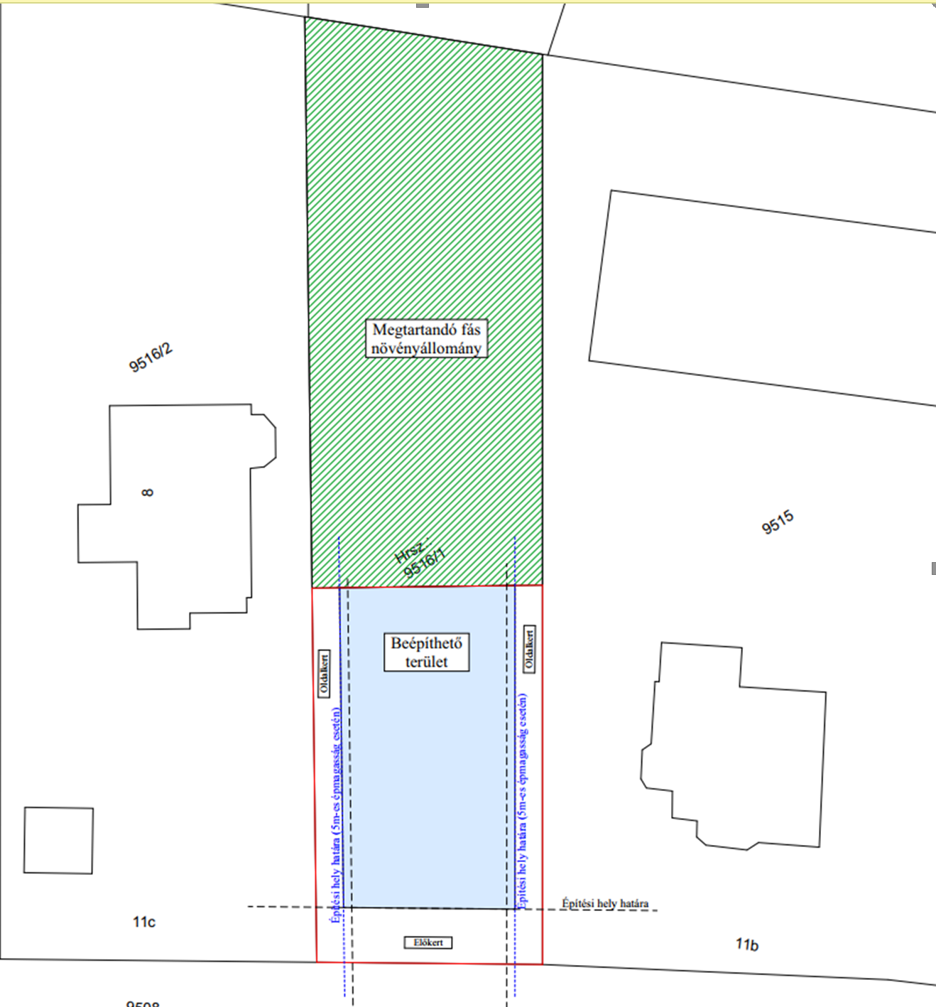
Eladó Telek, Budapest 12. ker.
REFERENCIA SZÁM: TK021083
489 000 000
Méret:
1776 m
2
ADATOK
Ingatlan Típus
Telek
Város
Budapest 12. ker.
Méret
1776 m
2
Víz
Telken belül
Gáz
Telken belül
Villany
Telken belül
Csatorna
Telken belül
Telek típusa
Lakóövezeti telek
Tájolás
K
TK021083
Önnek tetszik az ingatlan?
Herczeg-Bíró Edit
Értékesítő
+36309492772
herczegbiro.edit@dh.hu
VARA
Site by keresoguru